スマイエスト関東版
厚木市・伊勢原市・秦野市・平塚市・海老名市の不動産情報
ただいま
2166
公開中
2026.02.21更新

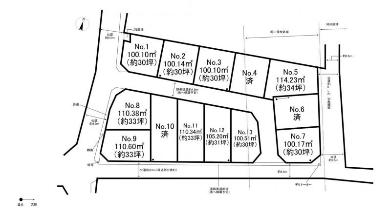
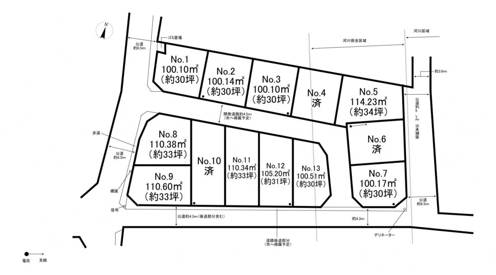
土地 厚木市妻田北2丁目No.7

1/7

【間取り】

  • 南向き
  • 所在地
    厚木市妻田北2丁目No.7
    2,190万円
    30.30坪

    ★建築条件あり!
    ★3方向角地につき日当たり良好!
    ★小学校・中学校まで徒歩10分!
    ★周辺施設充実でお買い物便利!

    ★ライフインフォメーション★
    ・ザ・コンボ厚木妻田店/徒歩約4分(約260m)
    ・マックスバリュ 厚木妻田店/徒歩約4分(約260m)
    ・セブンイレブン 厚木妻田北3丁目店/徒歩約5分(約400m)
    ・どんぐり保育園/徒歩約7分(約500m)
    ・清水小学校 /徒歩約10分(約800m)
    ・睦合東中学校/徒歩約5分(約400m)

    物件概要

    交通

    小田急線 本厚木駅 バス17分乗車 バス停そりだハイツ前 まで 徒歩5分

    接道状況
    西側4.5m
    南側 公道4.3m
    東側 公道6.5m
    土地面積
    100.17㎡ (30.30坪)
    建ぺい率
    60%
    容積率
    200%
    土地権利
    所有権
    セットバック
    無し
    小学校区
    清水 (800m)
    中学校区
    睦合東 (400m)
    私道負担
    建築条件
    あり
    地目
    現況
    更地
    引渡時期
    即時
    上水道
    公共
    下水道
    公共
    ガス
    都市ガス
    都市計画
    市街化区域
    用途地域
    1種住居
    設備・条件
    備考
    ※No.5・6・7区画:河川保全区域内、No.4・13区画:一部河川保全区域内
    ※図面と現況に相違がある場合は現況を優先します。
    取引態様
    仲介
    建築条件付きの土地につきましては、土地売買契約締結後3カ月以内に当社の指定する建設業者と請負契約が成立しない場合には土地売買契約は解除され、受領した金額は全額無利息でお返しします。

    こちらの物件のお問い合わせ

    スマイエスト 厚木本店
    0120-999-121
    電話する
    営業時間:10:00〜18:00  定休日:毎週火曜日・水曜日

    周辺地図

    (弊社管理番号: 1012919)

    【更新日】2026年02月19日

    【次回更新日】2026年03月19日

    その他周辺物件

    こちらの物件のお問い合わせ

    スマイエスト 厚木本店
    0120-999-121
    電話する
    営業時間:10:00〜18:00  定休日:毎週火曜日・水曜日

    Company 会社紹介

    厚木市・伊勢原市・秦野市・平塚市・海老名市の不動産情報