

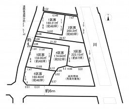
土地 平塚市小鍋島2区画
所在地
平塚市小鍋島2区画
1,880万円
60.59坪
★建築条件付!
★城島小学校まで徒歩3分!
★敷地ゆとりの60坪!
★ライフインフォメーション★
・業務スーパー/徒歩約20分(約1,600m)
・セブンイレブン/徒歩約13分(約1,000m)
・クリエイトSD/徒歩約24分(約1,900m)
・城島小学校/徒歩約3分(約240m)
・大住中学校/徒歩約12分(約960m)
物件概要
- 交通
-
東海道線 平塚駅 バス22分乗車 バス停城島小学校前 まで 徒歩4分
- 土地面積
- 実測 200.30㎡ (60.59坪)
- 建ぺい率
- 50%
- 容積率
- 100%
- 土地権利
- 所有権
- セットバック
- 無し
- 小学校区
- 城島 (240m)
- 中学校区
- 大住 (960m)
- 私道負担
- 無
- 建築条件
- あり
- 地目
- 宅地
- 現況
- 更地
- 引渡時期
- 相談
- 上水道
- 公共
- 下水道
- 公共
- ガス
- プロパン個別
- 都市計画
- 調整区域
- 用途地域
- 定無
- 設備・条件
- 備考
- ・業務スーパー/徒歩約20分(約1,600m)
- 取引態様
- 仲介
建築条件付きの土地につきましては、土地売買契約締結後3カ月以内に当社の指定する建設業者と請負契約が成立しない場合には土地売買契約は解除され、受領した金額は全額無利息でお返しします。
周辺地図

