

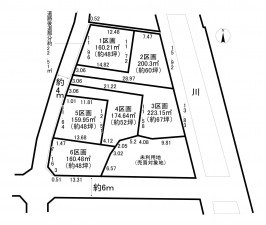
土地 平塚市小鍋島6区画
★建築条件付!
★城島小学校まで徒歩3分!
★敷地ゆとりの48坪!
★南西角地につき日当たり・通風良好!
★ライフインフォメーション★
・業務スーパー/徒歩約20分(約1,600m)
・セブンイレブン/徒歩約13分(約1,000m)
・クリエイトSD/徒歩約24分(約1,900m)
・城島小学校/徒歩約3分(約240m)
・大住中学校/徒歩約12分(約960m)
物件概要
- 交通
-
東海道線 平塚駅 バス22分乗車 バス停城島小学校前 まで 徒歩4分
- 土地面積
- 実測 160.48㎡ (48.54坪)
- 建ぺい率
- 50%
- 容積率
- 100%
- 土地権利
- 所有権
- セットバック
- 無し
- 小学校区
- 城島 (240m)
- 中学校区
- 大住 (960m)
- 私道負担
- 無
- 建築条件
- あり
- 地目
- 宅地
- 現況
- 更地
- 引渡時期
- 相談
- 上水道
- 公共
- 下水道
- 公共
- ガス
- プロパン個別
- 都市計画
- 調整区域
- 用途地域
- 定無
- 設備・条件
- 備考
- ・業務スーパー/徒歩約20分(約1,600m)
- 取引態様
- 仲介
周辺地図

